Actividades, exhibiciones, stands... que se realizan los distintos Días sin Coche organizados por el ayuntamiento de Granada
Con motivo de la celebración de la Semana Europea de la Movilidad 2021, se inicio como medida permanente el Plan Día Sin Coche. Proyecto que mantiene en el tiempo el corte de tráfico en distintas zonas de la ciudad de forma periódica, con el objetivo de sensibilizar a los ciudadanos sobre la necesidad de dejar el vehículo privado en aras de una nueva movilidad más saludable y sostenible, que permita ganar espacio para uso de los ciudadanos.
Día Sin Coche en calle Gran Vía de Colón: Información sobre corte de tráfico y actividades.


Día Sin Coche en calle Palencia: Información sobre corte de tráfico y actividades.




Día Sin Coche en calle Julio Moreno Dávila: Información sobre corte de tráfico y actividades.
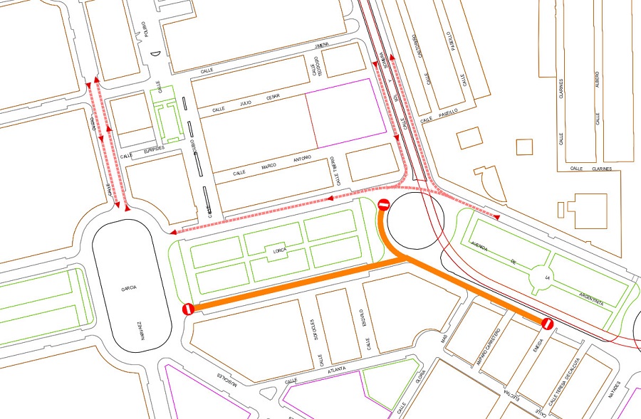
Día Sin Coche en avenida Federico García Lorca: Información sobre corte de tráfico y actividades.
Día Sin Coche en calle Gran Vía de Colón: Información sobre corte de tráfico y actividades.

Día Sin Coche en calle Doctor Castroviejo: Información sobre corte de tráfico y actividades.
Día Sin Coche en avenida Federico García Lorca: Información sobre corte de tráfico y actividades.
Día Sin Coche en Camino de Ronda: Información sobre corte de tráfico y actividades.
Día Sin Coche en Sagrada Familia: Información sobre corte de tráfico y actividades.


Día Sin Coche en Gran Vía de Colón: Información sobre corte de tráfico y actividades.





Día Sin Coche en calle Recogidas: Información sobre corte de tráfico y actividades.


Día Sin Coche en calle Recogidas: Información sobre corte de tráfico y actividades.


Día Sin Coche en calle Joaquina Eguaras: Información sobre corte de tráfico y actividades.


Día Sin Coche en calle Recogidas: Información sobre corte de tráfico y actividades.


Día Sin Coche en La Chana: Información sobre corte de tráfico y actividades.
Día Sin Coche en el Zaidín: Información sobre corte de tráfico y actividades.
Día Sin Coche en Recogidas: Información sobre corte de tráfico y actividades.
Día Sin Coche en avenida Don Bosco: Información sobre corte de tráfico y actividades.